Fabbricato indipendente con esterno a Bagno a Ripoli (FI)

Bagno a Ripoli (Firenze)

Rif: IMMO-125789267
Condividi Linkedin Whatsapp Stampa
Tratt. riservata
Vendita
Magazzino
1306 Mq
Classe energetica Non indicata
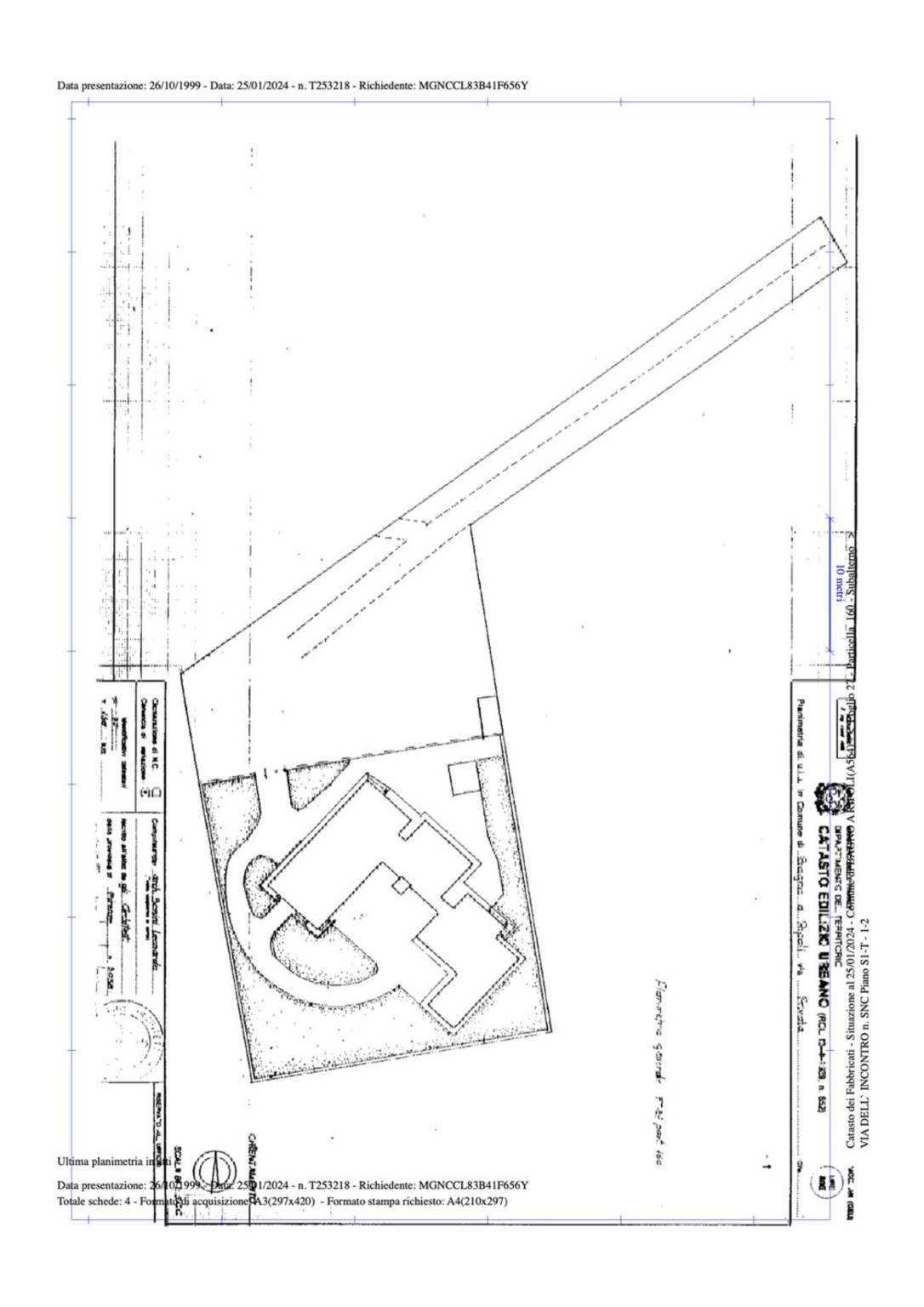
Situato in via dell'Incontro, in una suggestiva zona suburbana del Comune di Bagno a Ripoli (FI), proponiamo in vendita un fabbricato indipendente (cielo-terra) di grande metratura, circondato da un contesto paesaggistico di elevato pregio rurale e boschivo. La proprietà si trova a poche centinaia di metri dal celebre Convento dell'Incontro risalente al 1700, godendo di massima tranquillità e riservatezza.
Caratteristiche Principali:
• Struttura: L'edificio si sviluppa su tre piani fuori terra oltre a un ampio piano seminterrato.
• Superficie Commerciale: Circa 1.306 mq totali.
• Spazi Esterni: La proprietà include un'estesa area di pertinenza esclusiva di circa 5.300 mq, ideale per parcheggi o aree verdi, interamente recintata.
• Dotazioni: L'immobile dispone di ascensore interno, ampi terrazzi e portici per circa 692 mq e sistemi di sicurezza preinstallati (videosorveglianza e allarme).
• Stato Manutentivo: Il bene si presenta in un sufficiente stato di conservazione generale.
Suddivisione degli Spazi (superfici lorde):
• Piano Seminterrato (S1): circa 297 mq destinati a locali tecnici/centrale.
• Piano Terra: circa 459 mq.
• Piani Primo e Secondo: circa 517 mq complessivi.
• Portici e Terrazze: distribuiti su tutti i livelli per un totale di oltre 690 mq.
Potenziale e Destinazione: Attualmente l'immobile è destinato a centrale telefonica ed è occupato dalla proprietà, ma ai fini della vendita viene considerato nella sua piena disponibilità (libero). La posizione privilegiata e la consistenza volumetrica offrono diverse possibilità di valorizzazione, nel rispetto delle attuali destinazioni urbanistiche che prevedono aree per servizi di interesse pubblico o collettivo e zone ad elevata naturalità.
Un'occasione ideale per investitori alla ricerca di asset cielo-terra con ampia area scoperta in una delle zone più prestigiose della periferia fiorentina.
Non esitate a contattarci al numero 0276000069.

N.B. Le informazioni contenute nell'annuncio non costituiscono elemento contrattuale.

Dettaglio immobile

Contratto Vendita
Rif IMMO-125789267
Prezzo Tratt. riservata
Provincia Firenze
Comune Bagno a Ripoli
Indirizzo Via Dell'Incontro
Superficie 1306 mq
Classe energetica Non indicata
Condizioni da ristrutturare
Ascensore no

Consistenze

Descrizione Superficie Sup. comm.
Principali
Magazzino - piano terra 1.306 Mq 1.306 Mqc
Totale 1.306 Mqc

Video

Planimetrie

Richiedi maggiori informazioni

Autorizzazione al trattamento dei dati personali+
Dichiaro di aver letto l'informativa sulla privacy ed accetto le condizioni d'utilizzo del servizio.
Riempi il campo con il codice riportato nell'immagine*
Codice Captcha
Chiamaci Contattaci