Opportunità Immobiliare a Melilli (Villasmundo)

Melilli (Siracusa)

Rif: IMMO-125919391
Condividi Linkedin Whatsapp Stampa
€ 221.400
Vendita
Magazzino
263 Mq
Classe energetica Non indicata
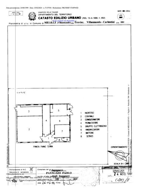
Proponiamo in vendita un fabbricato cielo-terra ad un piano fuori terra situato in una posizione strategica a Melilli, precisamente nella frazione di Villasmundo, lungo la Strada Provinciale 95. L'immobile, precedentemente destinato a centrale telefonica, si presenta in uno stato manutentivo discreto e offre ampie potenzialità di utilizzo grazie alla sua totale indipendenza e alla generosa pertinenza esterna.
Il fabbricato si sviluppa interamente al piano terra con una superficie catastale di 225,52 mq. Gli spazi interni, attualmente configurati per ospitare apparecchiature tecniche, comprendono:
• Vano d'ingresso;
• Sala centrale principale;
• Locali tecnici accessori (ex sale batterie, raddrizzatori e permutatore);
• Vani destinati ai servizi igienici.
La proprietà è circondata da un'area scoperta di circa 748 mq, interamente recintata e dotata di accesso diretto dalla strada provinciale. Lo spazio esterno è pavimentato o asfaltato, ideale per il parcheggio di numerosi veicoli o per attività di carico/scarico.
L'immobile ricade in Zona E (Agricola) secondo il Piano Regolatore Generale di Melilli. Le normative vigenti per quest'area prevedono:
• Altezza massima degli edifici non superiore a 7,50 metri;
• Possibilità di recupero degli insediamenti per destinazioni agrituristiche ed escursionistiche;
• Obbligo di distacco dai confini e dal filo stradale di almeno 20 metri, garantendo privacy e isolamento.
Situato in una zona suburbana a prevalenza residenziale, l'immobile gode di una buona rete infrastrutturale e della vicinanza ai servizi di prima necessità della frazione di Villasmundo. La posizione sulla SP95 garantisce un'ottima visibilità e facilità di collegamento con i centri limitrofi.
Caratteristiche principali:
• Prezzo: Eu.221.400
• Superficie Commerciale: 263 mq
• Area Esterna: circa 750 mq

Non esitate a contattarci al numero 02 76000069.

N.B. Le informazioni contenute nell'annuncio non costituiscono elemento contrattuale.

Dettaglio immobile

Contratto Vendita
Rif IMMO-125919391
Prezzo € 221.400
Provincia Siracusa
Comune Melilli
Indirizzo Strada Provinciale 95
Superficie 263 mq
Classe energetica Non indicata
Condizioni da ristrutturare
Ascensore no

Consistenze

Descrizione Superficie Sup. comm.
Principali
Magazzino - piano terra 263 Mq 263 Mqc
Totale 263 Mqc

Video

Planimetrie

Richiedi maggiori informazioni

Autorizzazione al trattamento dei dati personali+
Dichiaro di aver letto l'informativa sulla privacy ed accetto le condizioni d'utilizzo del servizio.
Riempi il campo con il codice riportato nell'immagine*
Codice Captcha
Chiamaci Contattaci